Photogrammetrie - Wir erstellen aus möglichst vielen Einzelaufnahmen gerne ein 3D-Modell von dem Objekt ihrer Wahl.

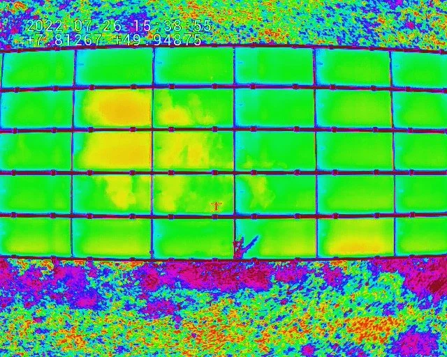
Wärmebildaufnahmen

Dank moderner Kameratechnik bieten wir auch Wärmebildaufnahmen von Wohngebäuden aber auch von industriellen PV-Anlagen.

Zurück
Zurück

Luftaufnahmen, Out- und Indoorkamerafahrten

Weiter
Weiter

FPV